Contact, directions, site plans
Kiel Campus
HAW Kiel
University of Applied Sciences
Sokratesplatz 1
24149 Kiel, Germany
Phone: +49 (0) 431 210-0
Fax: +49 (0) 431 210-1900
Email: info(at)haw-kiel.de
Osterrönfeld Campus
HAW Kiel
Faculty of Agriculture
Grüner Kamp 11
24783 Osterrönfeld
Phone: +49 4331 845 - 0
Fax: +49 4331 845 - 141
Email: agrarwirtschaft.verwaltung(at)haw-kiel.de
Directions to the Faculty of Agriculture
Directions Kiel Campus
Campus maps
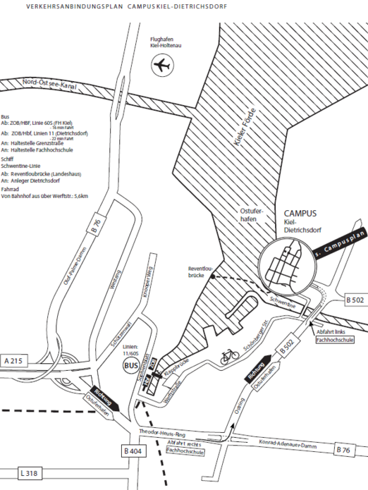
Parking space on Kiel Campus is scarce during the semester. We recommend that you use public transport or a bicycle.
Public transport
Arrival by rail and bus
It takes appr. 20 minutes by bus to get from the main train station to Kiel Campus. The buses depart from the west side of the train station from the opposite side of the street, in front of the shopping centre "Sophienhof".
- line 60S, direction Schwentinetraße, bus stop Grenzstraße
- line 11, direction Dietrichsdorf/Pillauer Straße, bus stops Grenzstraße or HAW Kiel
- line 14/15, direction Laboe/Heikendorf, bus stop Tiefe Allee (plus a 15 min. walk)
Search for rail or bus connection on nah.sh
Ferry
Year-round ferry connection from the Reventlou pier (west shore) to Wellingdorf via Dietrichsdorf (east shore) and back.
- Schwentine ferry F2, direction Wellingdorf, stop Dietrichsdorf
Timetable of the Schwentine ferry F2
Bicycle
It takes 23 minutes (approx. 5.6 km) by bike to get from the main train station to Kiel Campus
bike route on OpenStreetMap








